
Vụ thi thể bé gái 8 tuổi trong bao tải vứt dưới mương nước: Nghi phạm anh họ có thể…

Một vụ án mạng nghiêm trọng vừa xảy ra tại huyện Yên Định (Thanh Hóa) khiến dư luận bàng hoàng….

Ưng Hoàng Phúc lên tiếng về việc MV mới của nhóm Ngũ Hổ Tướng vướng tranh cãi loạt hình ảnh…

Bộ GD&ĐT bắt đầu lấy ý kiến về Thông tư quy định mã số, bổ nhiệm và xếp lương với…

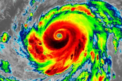
Bản đồ dự báo quỹ đạo và cường độ siêu bão Ragasa phát lúc 2 giờ ngày 22/9. Sức gió…

Theo một chuyên gia ngành khí tượng thủy văn cho biết, cập nhật đến 9 giờ sáng 21/9, 7 đài…

Giữa làn sóng bàn luận, số tiền 263 tỷ đồng liên quan đến Trấn Thành nhận được sự quan tâm…

Cơ quan chức năng tỉnh Lào Cai đang điều tra nguyên nhân vụ sập cổng trường học khiến hai cháu…

Tròn một thập kỷ sau ngày đăng quang Quán quân The Voice (10/9/2015), Đức Phúc tiếp tục khẳng định vị…

Giá vàng hôm nay Giá vàng trong nước hôm nay (22/9) Đối với vàng miếng: Vàng miếng (SJC, DOJI, PNJ,…

Giá vàng hôm nay 22.9: Thị trường thế giới có xu hướng tăng nhẹ. Trong nước, các cơ sở kinh doanh…

Sáng nay (22/9), Philippines và Đài Loan (Trung Quốc) đồng loạt triển khai các biện pháp ứng phó khẩn cấp…

Việc học sinh kéo tóc, ghìm cô giáo để giằng lại đồ chơi là nghiêm trọng, Bộ Giáo dục đề…

Dự thảo Luật Thương mại điện tử quy định với hoạt động livestream bán hàng, chủ quản nền tảng phải…

Thủ tướng yêu cầu có giải pháp khả thi cân bằng cung – cầu thị trường vàng nhưng không để…

Sau nhiều giờ tìm kiếm, gia đình cùng lực lượng chức năng đã phát hiện thi thể bé gái 18…

Đám cháy bùng lên dữ dội từ chợ Xuân Thới Sơn, TP HCM đã gây nhiều thiệt hại. Khuya 21-9,…

Từ 1/1/2026, nhiều quy định mới về bảo hiểm thất nghiệp theo Luật Việc làm 2025 sẽ mở rộng quyền…

Đại diện Bộ GD-ĐT đã chia sẻ những thông tin liên quan đến tiền lương và những chế độ, ưu…

Vợ chồng mình cưới nhau được 3 năm, có 1 con nhỏ. Sau ngày cưới 1 tháng anh chị chồng…